AO HIN WONG BAY (Koh Tao) 
visite: 2020-2023
Large baie entourée de rochers, l’intérêt principal étant le snorkeling au sud de la plage et également au nord, le déplacement est difficile à cause des formations rocheuses.
- Appréciation sur la plage (beauté, confort, entretien, snorkeling) 75%
AO HIN WONG BEACH
Située à l’est de l’île de Koh Tao, la baie de « Ao Hin Wong » est exposée aux vents d’est qui sont prédominants sur ce secteur et la plage manque d’ombre, tout cela fait que ce lieu est peu fréquenté par les touristes.
Il y a bien un spot de snorkeling situé au sud de la baie, qui est plus protégé des vents par un petit cap, où l’on apercevrait des petits requins de récif.
Personnellement, lors de mes deux randonnées aquatiques, je n’en ai pas vu un seul. Le spot est difficile d’accès, car on ne peut l’atteindre qu’à partir de la plage située à 500 mètres, ou par bateau lors d’une excursion.
En 2023, la plage avait été aménagée avec chaises, transats et parasols, mais c’était un jour pluvieux lors de notre passage et il n’y avait personne.
SNORKELING
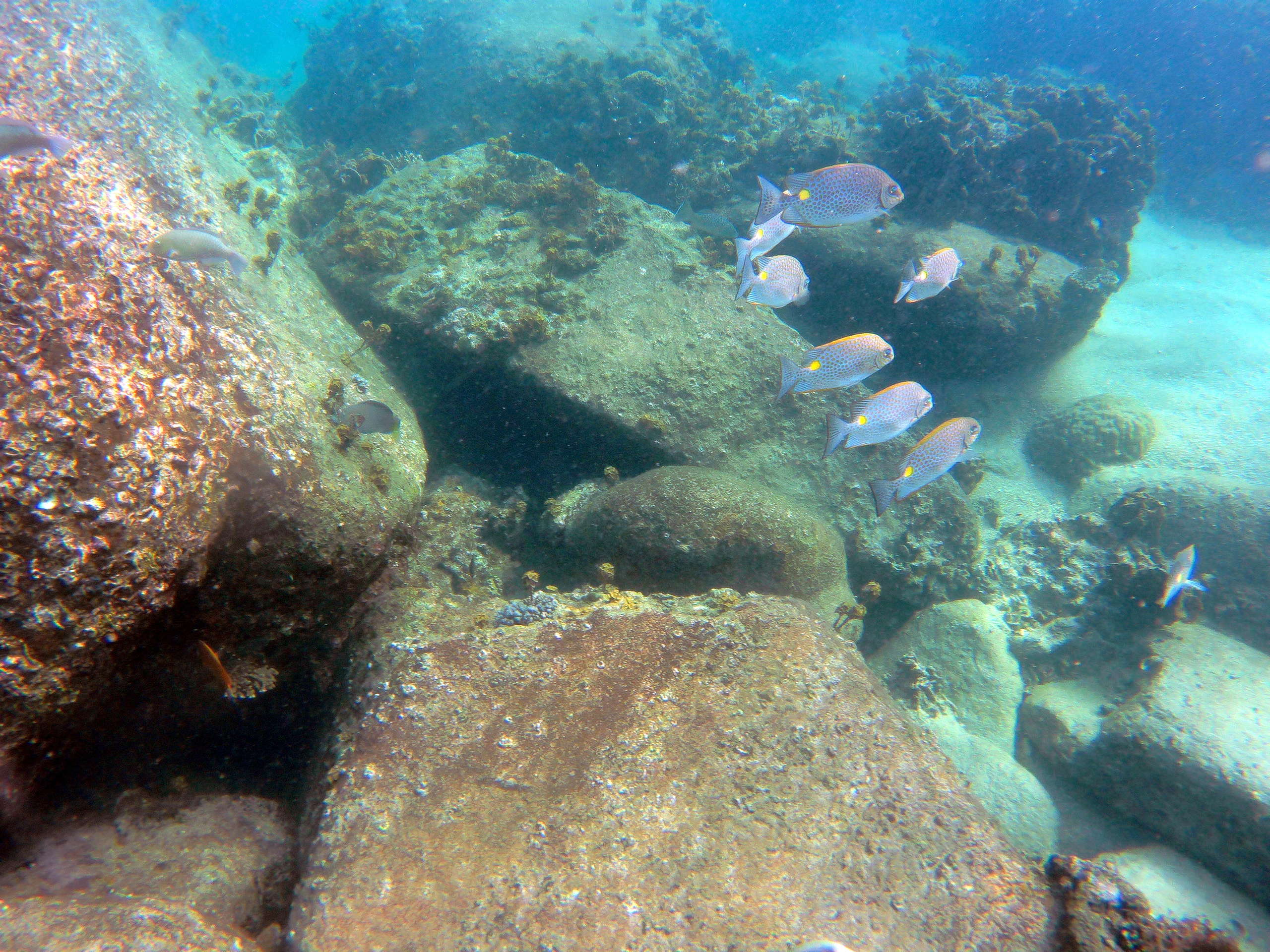
Bien que les requins de récif ne soient pas au rendez-vous lors de mes visites, j’ai pu voir de magnifiques poissons lors de ma randonnée palmée.
J’ai croisé un couple de poissons « Ange annelé », un magnifique poison « Lime gribouillé », une « Raie Pastenague à points bleus », une multitude de poissons « Lapin » : à œil noir, de java, à selle dorée, à double barre.
Il y avait aussi des poissons « Perroquet », des « Aiguille crocodile », des « papillon de hong kong », des « clowns à collier », et aussi de très jolis coraux… mais pas de requin, du moins pas dans cette baie, mais dans la baie de « Aow Leuk », j’ai vu et filmé un petit requin de 1 mètre environ.
FAUNE & FLORE
Raie Pastenague à taches bleues, Lapin de Java, Lapin à selle dorée, Holothurie, Corail cerveau, Chirurgien à masque jaune, Carangue des îles, Ange annelé, Bagnard, Fusilier à dos jaune et bleu, Lapin à double barre, Lapin à oeil noir, Lime gribouillé, Perroquet à écailles jaunes, Perroquet commun, Corail sarcophyton.
Date de visite: 23 janvier 2020 – 21 février 2023


